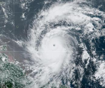
(Adnkronos) – L’urgano Beryl, il primo del 2024, aumenta di intensità e diventa di Categoria 4. Beryl, con venti che soffiano a oltre 200 chilometri orari, si dirige verso le Isole Windward, che si trovano a circa 2500 km da Miami. Come evidenzia la Cnn, mai era stato segnalato un uragano di Categoria 4 nell’Atlantico nel mese di giugno. In genere, fenomeni dell’intensità di Beryl non si manifestano prima dell’11 agosto, data di riferimento per l’individuazione del primo uragano.
I modelli indicano un’alta probabilità di tempeste tropicali sulle Isole Windward, che si trovano a circa 570 km a sud-est delle Barbados, dove è già in vigore l’allerta e sono scattate misure speciali, compresa la chiusura dell’aeroporto: provvedimenti simili già scattati a Saint Lucia, Saint Vincent and Grenadine Islands, Grenada, Tobago. Beryl potrebbe portare ad un innalzamento del livello del mare – fino a quasi 3 metri – nelle aree costiere, con la creazione di onde particolarmente violente.
